Sunday, May 03, 2026
60.0°F

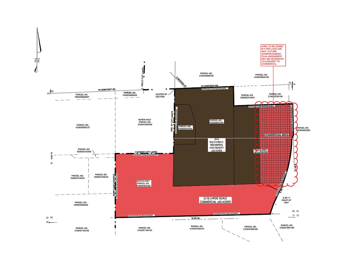
Annexation request may be coming to Othello

by CHERYL SCHWEIZER
Staff Writer | February 20, 2025 1:00 AM

OTHELLO — New property could be coming into the city of Othello, destined for eventual development.

Become a Subscriber!

You have read all of your free articles this month. Select a plan below to start your subscription today.

Already a subscriber? Login

Print & Digital
Includes home delivery and FREE digital access when you sign up with EZ Pay
  • $16.25 per month
Buy
Unlimited Digital Access
*Access via computer, tablet, or mobile device
  • $9.95 per month
Buy